雖然說在馬路上遵守交通規則,可以保護自己也保護其它人,但有時候真的會沒注意,如果發生事情,後續要怎麼處理,除了報警之外也可以私下協調,日前就有網友在臉書社團「爆料公社」發文說,他朋友的老母親日前在路口沒注意,不小心A到另一台機車,當下發現前土除跟燈殼壞掉,老人家覺得自己理虧也馬上道歉,並表明願意付修繕的費用,互相留下聯絡方式,孰料幾天後,對方的行徑,卻讓家人都看傻眼。

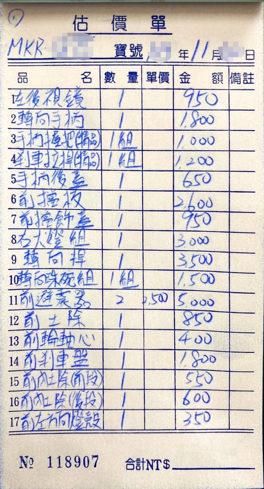
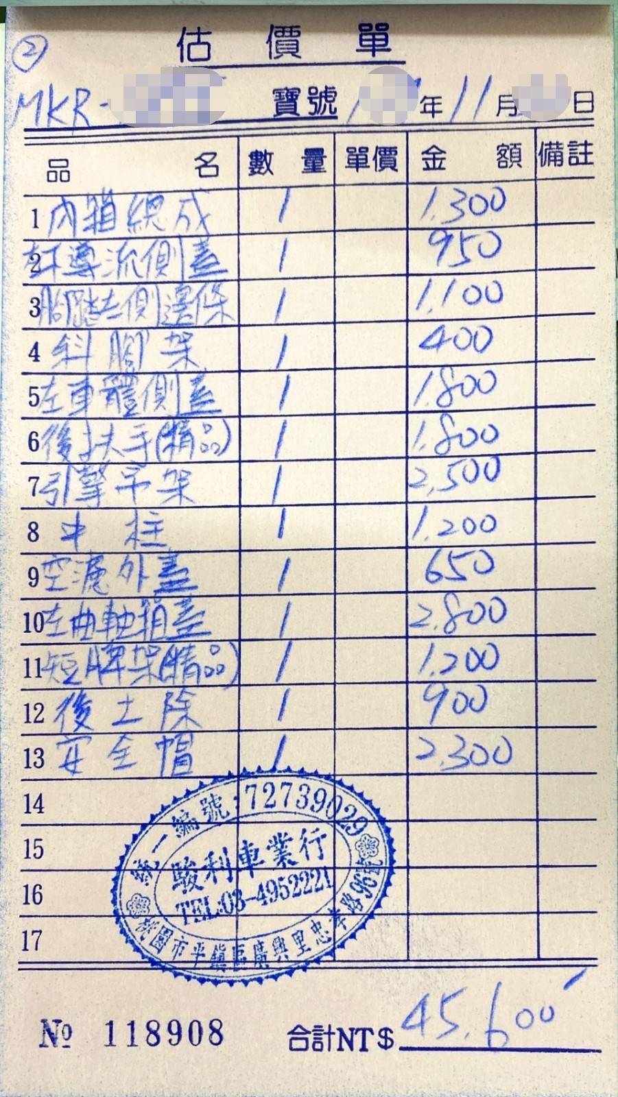
據《Yahoo奇摩新聞》報導,日前這名網友的朋友媽媽,騎車出門的時候,經過路口不小心,擦到另外一輛機車,因為自覺沒有注意到路況才會釀成這樣的狀況,所以決定對方修理後,願意承擔最後的費用,原本覺得是最好的處理方式,孰料幾天後對方將車子修理好了,把報價單送來,全家人卻愣在原地,這哪裡是「A到機車」的價錢,根本就是整台換新!


從報價單上可以看到,對方到師傅那邊,除了原本的燈殼跟前土除外,還有傳動、煞車、轉向桿、中柱、內箱等等,全部都需要修,每個幾千元的錢加一加,總共要4萬5600元,讓家人直呼根本就獅子大開口,更請機車專業的朋友看一下,對方冷回:「就是灌水單,前面才小小地A到,哪可能換到這些?」


貼文PO出後,網友紛紛為阿婆打抱不平,直呼:「順便整台換新是不是?」、「4萬元,都快可以買一台新的了!有夠誇張!」、「是當老人家不懂是不是?這種的就是要教育一下!」原PO網友也透露,因為他們家人都覺得不合理,馬上就跟車主談判,對方也支支吾吾說不出個所以然,讓他直言:「今天我們不是不處理,合理范圍多一點我們也願意,但報價單這樣擺明誆人!」網友們也建議,這樣的事情還是不要和解,直接打官司、警察判斷:「頂多2000以內有找啦!」

是不是看老人家好說話,所以才這樣?真的太扯了吧!

版權所有,禁止轉載。 違者必究法律責任。